Caymanrenden
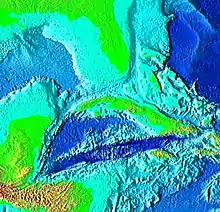
Caymanrenden er en oceangrav beliggende mellem Jomfruøerne og Caymanøerne i det Caribiske Hav. Graven er skabt fordi de underliggende tektoniske plader flytter sig fra hinanden. Renden strækker sig i nordnordøst fra Windward Passage ved den sydøstlige spids af Cuba ned sydsydvest til Guatemala. På det dybeste sted er renden 7.686 meter dyb – det dybeste sted i det Caribiske Hav. Renden synes at langsomt udvide sig i bredden grundet pladetektonikken på dette sted.
| | Spire Denne artikel om et hav eller et stræde er en spire som bør udbygges. Du er velkommen til at hjælpe Wikipedia ved at udvide den. |

Satellitbillede af Caymanrenden
This article is issued from Wikipedia. The text is licensed under Creative Commons - Attribution - Sharealike. Additional terms may apply for the media files.